Dysplazja biodrowa ( z angielskiego Hip Dysplasia, w skrócie HD) jest to wrodzone schorzenie stawów biodrowych, częściowo dziedziczne, występujące u wszystkich ssaków. W hodowli psów choroba ta stanowi istotny problem zdrowotny u ras średnich i dużych. Istotą dysplazji biodrowej jest zbyt luźna torebka stawowa i więzadła, co powoduje niestabilność stawu, nadwichnięcia do zwichnięcia głowy kości udowej a w konsekwencji powstania zmian zwyrodnieniowych.
Szczególnie narażonymi na dysplazję są rasy: owczarek niemiecki, rottweiler, bokser, dog, owczarek kaukaski, sznaucer olbrzymi, labrador retriever. Międzynarodowa Federacja Kynologiczna zaleca badanie w kierunku dysplazji 25 ras psów. W przypadku niehodowlanych dużych psów rasowych badanie w kierunku dysplazji wykonuje się ze wskazań lekarskich.
Uchwytne badaniem radiologicznym zmiany pojawiają się w różnym wieku. Zmiany dysplastyczne powstają w okresie rozwoju układu kostnego. Wstępne badanie w tym kierunku wykonuje się, kiedy pies ma 3-4 miesiące, następnie 6-9 miesięcy, jednak dopóki pies nie osiągnie dojrzałości fizycznej (zakończenie wzrostu) nie może zostać uznany za wolny od dysplazji. Zwykle dysplazja dotyczy obu stawów biodrowych.
Etiologia tego schorzenia nie jest do końca poznana. Schorzenie to jest chorobą dziedziczną, a czynnikiem decydującym jest podłoże genetyczne. Mimo eliminowania z hodowli osobników chorych na tą przypadłość , dysplazja stawów biodrowych dalej jest najczęściej spotykanym schorzeniem ortopedycznym psów.
Wrodzony charakter tego procesu nie jest do końca ścisłym określeniem, gdyż zwierzęta rodzą się z normalnymi stawami, a rozluźnienie pojawia się w okresie intensywnego wzrostu szczenięcia. Wydaje się również, że zbyt intensywna podaż wapnia i energii w okresie wzrostu może prowadzić do rozwinięcia się dysplazji u psów genetycznie predysponowanych do tej choroby.
Przyczyną bezpośrednią jest brak równowagi między wzrostem kości, a siłą otaczających je mięśni i więzadeł.
Na dysplazję stawów biodrowych najczęściej zapadają rasy o dużym udziale tkanki tłuszczowej (5 - 10 %). Rasy u których udział tej tkanki jest niewielki (1-2 %) chorują sporadycznie. Choroba prowadzi poprzez zapalenie do zwyrodnienia stawu ( osteoarthritis ), które jest chorobą nieuleczalną i bardzo bolesną.
Objawami zwyrodnienia są niechęć do ruchu, chwiejny i sztywny chód, duże trudności ze wstawaniem, zaniki mięśni kończyn miednicznych, kulawizny z brakiem możliwości poruszania się włącznie. Objawy mogą pojawić się w każdym wieku, zarówno u młodych psów 3 - 4 miesięcznych, jak i paroletnich.
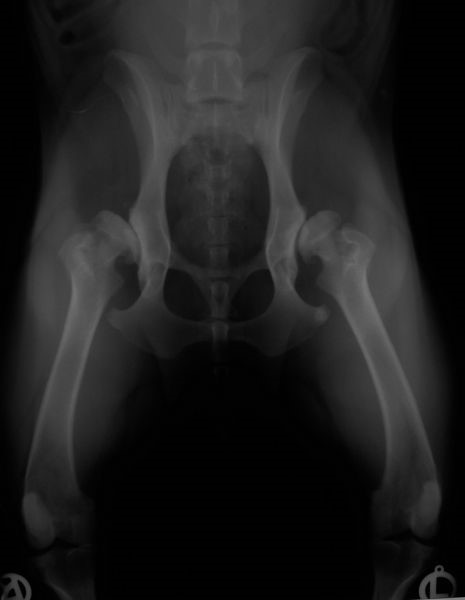
Zadaniem badania radiologicznego jest ocena nadwichnięcia główek kości udowych i stopnia zwyrodnienia stawów biodrowych. Istnieje wiele metod ułożenia pacjenta i oceny radiogramów. Najpopularniejszą i obecnie obowiązującą w Polsce metodą jest metoda zaproponowana przez OFA ( Orthopedic Fundation for Animals )
Według niej, prawidłowe zdjęcie rentgenowskie:
1. Powinno obejmować miednicę, ostatnie kręgi lędźwiowe, kości udowe i stawy kolanowe
2. Zwierzę powinno być ułożone idealnie w projekcji brzuszno-grzbietowej, obie kończyny wyciągnięte maksymalnie do tyłu i ułożone równolegle do siebie i płaszczyzny strzałkowej ciała ( w tym celu stosuje się odpowiednie pozycjonery)
a) równa szerokość skrzydeł kości biodrowych,
b) równy kształt otworów zasłonowych
c) kości udowe ustawione równolegle do siebie
d) rzepki pośrodku dalszej nasady kości udowych


Prawidłowa budowa stawów biodrowych
Początkowo stwierdza się nieznaczne spłycenie panewki. Jednym z pierwszych objawów dysplazji jest zmiana zarysu doczaszkowej krawędzi panewki. Traci ona swój ostry trójkątny kształt i staje się zaokrąglona. Powoduje to poszerzenie bocznej okolicy szpary. Dalszymi charakterystycznymi objawami są poszerzenie przyśrodkowej okolicy szpary stawu biodrowego i zmniejszone pokrycie głowy kości udowej przez krawędź panewki. W wyniku zmienionych warunków mechanicznych następuje przebudowa i zmiana kształtu głowy i szyjki kości udowej. Zarys głowy staje się zbliżony do kwadratu. Szyjka staje się mniej smukła, grubsza, traci wcięcie i robi wrażenie krótszej. Równolegle rozwijają się w stawach biodrowych zmiany zwyrodnieniowo-wytwórcze z tworzeniem się osteofitów na krawędziach panewki, głowie i szyjce kości udowej. W najcięższych przypadkach panewka jest tak płytka, że nie obejmuje ona głowy kości udowej i nie utrzymuje jej we właściwym położeniu, co prowadzi do patologicznego zwichnięcia stawu biodrowego.

Skrajna dysplazja stawów biodrowych
W Polsce na podstawie Międzynarodowej Fundacji Kynologicznej wprowadzono następującą skalę ocen stawów biodrowych na podstawie badania radiologicznego:
- stawy biodrowe normalne (A1)
- stawy biodrowe prawie normalne (A2)
- stawy biodrowe podejrzane (B)
- dysplazja nieznaczna (C1)
- dysplazja umiarkowana ( C2)
- dysplazja ciężka (C3)
Rozpoznanie B ( stawy biodrowe podejrzane ) stosuje się w przypadku podejrzenia dysplazji u młodych psów, co do których nie można się jednoznacznie wypowiedzieć. Obowiązuje w takich przypadkach ponowne badanie w wieku około 2 lat.
Jak zminimalizować rozwój choroby:
Rozwój tego schorzenia zależy od warunków zewnętrznych ( nawet do 30 % ). Mimo, iż jest to choroba dziedziczna można ograniczyć jej rozwój poprzez odpowiednie postępowanie ze szczenięciem. Jedno z nich to odpowiedni sposób żywienia.
W Stanach Zjednoczonych przeprowadzono badania na psach rasy owczarek niemiecki. U psów, u których stwierdzono w wieku szczenięcym podwyższoną wagę ciała, dysplazja była stwierdzana prawie dwukrotnie częściej niż u osobników mających wagę niższą niż średnia.
Wynika z tego, że szczenięta z nadwagą są zdecydowanie bardziej narażone na dysplazję.
Nadwaga, to nie jedyny problem związany z żywieniem. Przyczyną bezpośrednią jest brak równowagi między wzrostem kości, a siłą otaczających je mięśni i więzadeł. Najsilniejszy wzrost kości obserwujemy między okresem narodzin a 6 miesiącem życia. Można ograniczyć tempo wzrostu kości poprzez optymalne karmienie.
Drugim ważnym czynnikiem jest ruch zwierzęcia.
W okresie do 6 miesiąca życia psy nie powinny być podawane intensywnym ćwiczeniom, a spacery należy przeprowadzać na smyczy. Można uprawiać z psem pływanie. Urazy stawów, nawet te niewielkie, mogą przyczyniać się do rozwoju choroby, dlatego na żadne skoki przez przeszkody nie można psu pozwolić.
Leczenie:
O sposobie leczenia decyduje stopień zmian w obrębie stawu i wiek zwierzęcia. W przypadku dysplazji możemy mówić o wyborze optymalnej metody leczenia. W sytuacji, gdy doszło wraz z upływem czasu do zwyrodnienia stawu lub zwierzę zakończyło wzrost, możliwości są już znacznie ograniczone. Dlatego tak istotne jest wczesne zdiagnozowanie tego schorzenia. W zależności od stopnia dysplazji są do wyboru dwa rodzaje leczenia: metody chirurgiczne, a w przypadkach gdy właściciel psa nie wyrazi zgody na operację, metody zachowawcze.
Metoda zachowawcza polega na zlikwidowaniu ewentualnej nadwagi, zastosowaniu odpowiednich ćwiczeń powodujących zwiększenie masy mięśniowej okolicy stawu biodrowego, zastosowaniu leków regenerujących chrząstkę stawową oraz leków przeciwzapalnych. Metoda zachowawcza nie leczy chorych stawów, a jedynie poprawia komfort życia pacjenta. Stosowane są zazwyczaj u zwierząt starszych (powyżej 2 roku życia) z niewielkimi zmianami.
W przypadkach ciężkich zwyrodnień stawów biodrowych, szczególnie u młodych psów nie polecamy tej metody leczenia, ponieważ podawanie bezpiecznych środków przeciwzapalnych przez całe życie nie jest już tak "bezpieczne". Poza tym, nie da się ukryć, że te skuteczne środki nie są tanie ( koszt skutecznego leczenia może wynieść nawet kilkaset złotych miesięcznie, co w skali całego życia pacjenta oznacza wydatek rzędu kilkudziesięciu tysięcy złotych).
W ostatnim czasie pojawiły się nowe możliwości leczenia nieoperacyjnego dysplazji stawów biodrowych, a ściślej mówiąc leczenia zwyrodnień stawów i bólu z tym związanego. Mowa o Terapii Irap Orthokine Vet - polecanej szczególnie zwierzętom niekwalifikującym się do leczenia operacyjnego, gdzie standardowo stosowane leki w tym sterydowe leki przeciwzapalne nie przynoszą zadowalających efektów.
Terapia Irap została opracowana i opisana przez niemieckich naukowców w wielu renomowanych publikacjach naukowych i stosowana jest od wielu lat zarówno u zwierząt jak i u ludzi - pod nazwą Orthokine®. Polega ona na podaniu pacjentowi mieszaniny autologicznych białek surowicy wytworzonych z jego własnej krwi. Dzięki tej metodzie przywrócony zostaje stan równowagi w miejscu zmienionym zapalnie, a proces zapalny i postępujące niszczenie tkanek w tym chrząstek stawowych zostają spowolnione lub powstrzymane, oraz to co najważniejsze – uzyskany zostaje długotrwały efekt przeciwbólowy! (więcej na teamt Terapii pod tym linkiem)
Zaniki mięśniowe oraz nadwaga dyskwalifikują praktycznie każdy przypadek w skutecznym leczeniu dysplazji.
Leczenie operacyjne:
• Potrójna osteotomia miednicy ( TPO )
Jest młodą metodą operacyjną, której celem jest zapobieganie rozwoju zmian zwyrodnieniowych prowadzących do kalectwa.
Ta skomplikowana i ciężka operacja polega na obniżeniu sklepienia panewki (nałożenie panewki na głowę kości udowej) poprzez przecięcie miednicy w trzech miejscach i użyciu specjalnej płyty stabilizującej cięcie.
Zabieg operacyjny jest skuteczny, gdy nie doszło jeszcze do zmian zapalnych i zwyrodnieniowych. Nie ma wieku granicznego, ale przyjmuje się iż psy nadają się do tego zabiegu poniżej 12 miesiąca życia. Psy, u których nastąpiły już zmiany zwyrodnieniowe nie nadają się do tej operacji.
W Polsce metoda ta nie jest jeszcze popularna ze względu na wyjątkowo skomplikowany charakter zabiegu, oraz wymagania sprzętowe. Minusem tego zabiegu jest duża urazowość zabiegu oraz dość długi okres rekonwalescencji (średnio dwa miesiące).
• Zespolenie spojenia łonowego ( JPS)
Jest także jedną z najnowszych metod leczenia dysplazji stawów biodrowych zwierząt w wieku szczenięcym. By uzyskać dobre efekty można ją zastosować między 12 a maksymalnie 24 tygodniem życia.
Zabieg ma na celu zmianę ułożenia panewki miednicy względem głowy kości udowej. Efekt ten otrzymujemy po mechanicznym zniszczeniu chrząstki spojenia łonowego. Podczas wzrostu zwierzęcia, panewka "nakłada" się samoczynnie na głowę kości udowej.
Cel zabiegu jest podobny jak w przypadku TPO, jednak uraz związany z zabiegiem jest zdecydowanie mniejszy. Zwierze jest w pełni sprawne już na 2-3 dzień po zabiegu.
• Resekcja głowy i szyjki kości udowej ( FHNE ) ( dekapitacja głowy i resekcja szyjki kości udowej )
Operacja polega na amputacji głowy i szyjki kości udowej. Do tego zabiegu kwalifikują się pacjenci ze znaczną chorobą zwyrodnieniową.
Zabieg ma na celu zniesienie bólu w obrębie zwyrodniałego stawu i w następstwie wytworzenie więzozrostu.
Metodę tą należy zastosować w przypadku rozwiniętych zmian zwyrodnieniowych oraz w chorobie Legg-Pertesa (aseptyczna martwica głowy kości udowej).
Wyniki zadowalające otrzymamy po prawidłowo wykonanym zabiegu, przy równoczesnych braku zaników mięśniowych i nadwagi. Zwierzę już po kilku dniach od zabiegu nie wykazuje objawów bólowych, a średnio po 2 miesiącach zaczyna "prawie normalnie" używać chorą kończynę.
• Pectinotomia ( Pectinectomia )
Jest najczęściej wykonywanym zabiegiem związanym z dysplazją.
Zabieg polega na usunięciu lub przecięciu (Pectinectomia) mięśni pectineus, który odpowiada za siły przywodzące uda. Dzięki tej metodzie stawy biodrowe stają się odprężone, poprawia się koordynacja ruchowa, zmniejsza się dyskomfort i ból stawów.
• Denerwacja torebki stawowej ( Neurektomia)
Jest to jedna z najprostszych metod leczenia dysplazji.
Zabieg polega na usunięciu włókien nerwowych torebki stawowej. Dzięki temu, pacjent nie odczuwa bólu, poprawia się jego stan ogólny.
Przypomina to trochę metodę zachowawczą z tą różnicą, że nie musimy już podawac lekow przeciwzapalnych.
Operacja w porównaniu z innymi metodami leczenia dysplazji jest zdecydowanie mniej urazowa, a efekty pracy chirurga są widoczne już po kilku dniach.
Szczególnie polecana metoda w przypadkach ciężkiego zwyrodnienia stawów co przeważnie dotyczy psów starszych. Jeżeli jest taka potrzeba, dodatkowo wykonuje się zabieg pectinotomii.
• Artroplastyka stawu biodrowego (THA )
Operacja polega na wstawieniu sztucznego stawu biodrowego. Do tego zabiegu kwalifikują się psy po ukończeniu 9 miesiąca życia oraz powyżej 25 kg wagi ciała.
Przeciwwskazaniem do tego zabiegu są wszelkiego rodzaju zakażenia w obrębie innych narządów, brak wyraźnej kulawizny oraz zaniki tkanki mięśniowej kończyn tylnych.
Koszt zabiegu nie pozwala na powszechne stosowanie tej metody nawet w krajach zdecydowanie zamożniejszych niż Polska. Nie mniej jest to skuteczna metoda leczenia dysplazji (skuteczność tej metody osiąga nawet 90 %).
• Daroplastyka stawu biodrowego
Jest to dość nowa metoda leczenia operacyjnego dysplazji. Polega ona na nadbudowie grzbietowej części panewki. Do uzupełnienia panewki wykorzystuje się kość pobraną z talerza kości biodrowej lub z żebra. Zabieg ten stosowany jest u psów, które nie zostały zakwalifikowane do TPO, ze względu na zbyt płytką panewkę lub niewielkie zmiany wytwórcze w obrębie stawu. Zabieg wykonuje się u psów w wieku 5 - 12 miesięcy.
W leczeniu dysplazji można zastosować jeszcze inne metody leczenia jak np. osteotomia międzykrętarzowa szyjki kości udowej (metoda polega na zmianie ukątowania szyjki kości udowej), ale o wyborze metody leczenia decyduje lekarz wraz z właścicielem zwierzęcia poinformowanym o plusach i minusach każdej z zaprezentowanych wyżej metod.
lek. wet. Mariusz Węgrzyn
Objawy dysplazji :
